売地
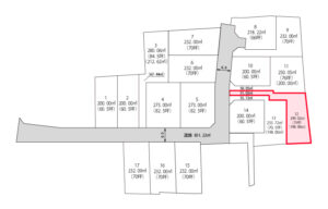
宮崎市佐土原町下田島字宮本 12号地
価格・基本情報
| 価格 |
780
万円
|
|---|---|
| 所在地 | 宮崎市佐土原町下田島字宮本12247-3 他5筆 |
| 交通 | JR佐土原駅から県道10号経由 車で6分 |
物件情報
| 権利 | ー | 地目 | 畑、宅地 |
|---|---|---|---|
| 土地面積 | 198㎡(59.9坪) | ||
| 接道 | ー | ||
| 用途地域 | 第1種住居地域 | 建ぺい/容積率 | 60% / 200% |
| 防火地域 | ー | 現況 | 更地 |
| 引渡し | 造成後 | 引渡時期 | 2026年春頃 |
| 備考 | ・図面と現況が相違する場合は、現況を優先します。 ・万一ご成約済みの際はご容赦ください。 |
||
| 取引形態 | 売主 | 情報更新日 | 2026年2月24日 |



